1 pièces appartement dans Paris 09
-
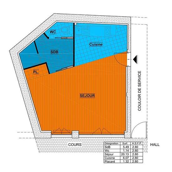
Surface
- 34 m²
-
Type de propriété
- Appartement
-
Pièces
- 1 pièce
Quartier très prisé métro Saint Georges, Caroline CIVREIS vous propose un charmant studio non meublé de 34m2 Carrez en rez de cour bénéficiant d'un environnement exceptionnel, au coeur du 9éme arondissemnt de Paris. A deux pas de l'animation de la rue des Martyrs, des théatres, cafés de caractère, commerces de bouche et adreses branchées de Pigalle, vous rofiterez d'un cadre de vie parisien authentique très vivant. Proximité immédiate des transports. En retrait sur cour dégagée; le studio offre un calme rare dans ce quartier dynamique. Carac...
- Louer
- 1 250 € par mois
- Ville
- 75009, Paris 09
- Durée de location
- -
- Propriétaire vérifié
- Oui
- Date
- Hier
- Disponible
- Contacter le propriétaire
- Services
- Contacter le propriétaire
- Dépôt de garantie
- Contacter le propriétaire
- Avance sur loyer
- Contacter le propriétaire
Emplacement